お問い合わせ
Page
Top

しみ・そばかす・くすみ

Hyperpigmentation

NAKAGAWA SEIKEI

年齢とともに増えてくる
お肌のお悩みに寄り添います

年齢を重ねるにつれて、お肌の不調や悩みが増えていっているのではないでしょうか。
中でも20代~30代は美白、40代~50代になり、しみ・そばかす・くすみ、毛穴の開きといった症状も多くなってくることと思います。
当院では、そんなお悩みを持つ方へしみ・そばかす・くすみ・毛穴の開きなどに適切な治療をご提案いたします。

こんなお悩みはありませんか

  • しみが増えているのが気になる
  • 肌のくすみが目立つようになった
  • 毛穴の開きが気になる
  • そばかすが増えている
  • ファンデーションでしみを隠すと厚塗りになって困る
  • ファンデーションを付けずに素肌でいたい
  • 色白の素肌を目指したい
  • 透明感のある肌になりたい

しみ・そばかす・くすみ
について

しみとは、肌の基底層にあるメラノサイトで作られるメラニン色素が肌に沈着してできるものです。メラニンが蓄積すると、本来の肌色より濃く見える部分が生じます。
通常、肌のターンオーバーによってメラニンは自然に排出されますが、紫外線を浴びると肌内で活性酸素が増え、メラニンが過剰に生成されます。その結果、メラニンが排出されずに肌に残り、しみやそばかす、くすみの原因となります。

ターンオーバーのしくみ

ターンオーバーのしくみを表す図

表皮の基底層では、毎日新しい細胞が生み出されています。
生まれた細胞は次々と生まれてくる細胞に下から押し上げられて約14日で角質層へ到達します。br> さらに約14日かけて肌の表面へ押し上げられ、細胞は垢(あか)となり肌から剥がれ落ちます。

様々な肌の悩みに適切な答えを

紫外線によるメラニンの生成を表す図

肌の老化の80%は紫外線のダメージによる光老化です。表皮細胞のDNAを紫外線から守るための防御反応として色素細胞(メラノサイト)がメラニンを作りだします。
しかしこのメラノサイトが暴走し、過剰なメラニンを作りだしてしまうと、その部分の細胞が黒ずんでしまい、しみとなるのです。出来てしまったしみは取り除き、新しいしみを作らないようにする事が大切です。当院では、角質層(表皮)のしみを取る機械に日本人の肌のために開発された光治療機ライムライトを使用しています。

紫外線や老化による肌の色むらや質感の乱れを改善し、理想の肌状態へ導く光治療です。
従来の光治療ではあきらめかけていたしみやそばかすにも高い効果を発揮し、治療時の痛みが少ないのが特徴です。色白の方にも色黒の方にも、十分な効果が得られるように設定を変更できます。

当院が導入している
フォトフェイシャル(IPL)

鏡の前で「老けてきたなぁ」とため息をついてお肌の悩みをあきらめていませんか?
最新のレーザー治療を用いた医学的療法で気になるしみ・そばかす・赤ら顔・小じわからにきびまで、あなたのお肌の悩みをすべて解消していきます。 当院で使用する最新光治療器キュテラ社のLimelight(ライムライト)は、数ある光治療器の中でもしみ・そばかすに対して高い効果を発揮することが期待されています。気になるお肌の悩みで憂鬱な気分になっている方は、一度当院にご相談ください。

キュテラ社フォトブライト/Limelight
(ライムライト)

当院では最新光治療器キュテラ社の「ライムライト」を用い治療いたします。一本であらゆる日本人の肌色に対応できることが実証されたハンドピースです。開発の段階より日本人医師が監修に入り、日本人の様々な肌の悩みに対して適切かつより良い結果を導きだす新しい光治療です。

フォトフェイシャル(IPL)の適応症状

  • しみ・そばかす
  • くすみなどの色素病変
  • 肌の質感・きめの乱れ
  • 小じわの改善
  • 毛穴の開き
  • 赤ら顔・にきび跡の赤みなど

効果のある症状

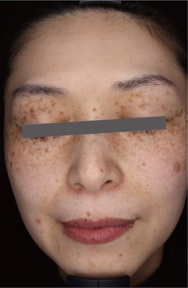
パール肌コース

Before

After

主訴 子どもの頃からのしみ・そばかす
診断名 日光色素班
年齢 40代
治療期間・回数 7回
治療方法 パール肌コース(肌診断+クレンジング洗顔+IPL全顔+エンビロンクールビタミントリートメント)4回治療の症例写真です。
費用 初回 22,000円+82,500円(通常3回分)
総額:104,500円(税込)
デメリット・注意点
  • 一時的にしみが濃くなったり、赤みや色素沈着が生じる場合があります。
  • 保険適用外のため、自費による診療となります。

治療・ケア方法

治療・ケアの流れ

Step01

まずは入念なカウンセリングを行います。(※予約優先制)

Step02

洗顔後、お顔全体または希望の部位に光を照射します。

Step03

照射はお顔全体の場合で約10分間です。

Step04

しみの治療後は、3日~4日で薄いかさぶた(マイクロクラスト)となり、7日~10日かけて剥がれていきます。

Step05

症状や反応にもよりますが、基本的には3週間~4週間隔で3回~5回の治療を繰り返し受けることをおすすめします。

Step06

症状の改善が得られた後は、メンテナンスのために3ヵ月を目安に治療を続けることをおすすめします。

Step07

治療後は、色素沈着やしみの再発を抑えるため万全の紫外線対策を心がけてください。

治療・ケアメニュー

フォトフェイシャル(IPL)全顔

紫外線や老化による肌の色むらや質感の乱れを改善し、理想の肌状態へ導きます。しみ・そばかす・くすみなどの色素病変の改善や、きめの乱れ小じわの改善といった肌質改善に効果を発揮します。

【適応症状】

しみ・そばかす・くすみなどの色素病変、毛細血管拡張症、肌の質感・きめの乱れ
小じわの改善、毛穴の開き、赤ら顔・にきび跡の赤みな

ジェネシスレーザー

ジェネシスレーザーは、角質から表皮層における肌質の改善や毛穴の引き締め、さらに真皮層上部への熱刺激によるコラーゲンの再生や微小脈管構造への加熱による赤ら顔の改善が期待出来ます。
毛穴の開きやにきび肌の改善に優れ、高い美肌効果を発揮する角質ケアです。

【適応症状】

血管性病変(隆起性・深在性にも対応)・肌質の改善・赤ら顔の改善
穴開大の軽減・にきび跡の改善・くすみの改善(美肌効果)引き締め効果等

イオントフォレーシス(イオン導入)

直流電流を断続的に流す、パルス型直流電流を採用しています。
これにより皮膚への電気的負担はほとんどなく、効率的にビタミンイオン化を引き起こすことで浸透効果も上がります。イオントフォレーシスを使用することで、有効成分の浸透はただ塗るだけより、約4倍の効果が期待できます。

美白保湿パック

肌を沈静しながら、有効成分の浸透を促します。
クーリングパック(アルジネートマスク)を使いイオントフォレーシスを行うことで、肌を沈静しながら、同時にビタミンを浸透させることができます。

料金案内

※掲載の料金は、すべて税込の金額です。

セレブコース

当院の総力を結集した極上のひととき

  • しみ・そばかす・くすみの色素病変
  • キメ・小じわの改善
  • 肌質の改善・毛穴拡大の軽減など

肌の質感の乱れ・小じわ・毛穴の開き・赤ら顔・にきびあとの赤みなど、混在した症状を同時に改善するため、肌の印象が飛躍的に向上します。さらにコラーゲンの生産を促し、ハリのある若々しい肌へと導きます。

治療内容
  • クレンジング+洗顔(初回は洗顔指導を行います)
  • スキンチェック(re-Beau 2 肌診断)
  • IPL全顎
  • レーザーピーリング(ジェネシス)
  • エンビロンクールビタミントリートメント
治療時間
約90分
治療期間・治療回数
月に1度のペースで合計3回の治療
注意点・リスク
保険適用外のため、自費による診療となり、照射時の痛みやヒリヒリ感が生じることがあります。

reーBeau 2 肌診断セット価格

初回特別限定価格
¥27,500
通常価格
¥33,000

パール肌コース

「パールのような煌びやかな肌」へ

  • しみ・そばかす・くすみの色素病変
  • キメ・小じわの改善
  • 赤ら顔の改善など

肌の質感の乱れ・しみ・そばかす・くすみ・小じわ・赤ら顔など、混在した症状を同時に改善するため、肌の印象が飛躍的に向上します。

治療内容
  • クレンジング+洗顔(初回は洗顔指導を行います)
  • スキンチェック(re-Beau 2 肌診断)
  • IPL全顎
  • エンビロンクールビタミントリートメント
治療時間
約75分
治療期間・治療回数
月に1度のペースで合計3回の治療
注意点・リスク
保険適用外のため、自費による診療となり、照射時の痛みやヒリヒリ感が生じることがあります。

reーBeau 2 肌診断セット価格

初回特別限定価格
¥22,000
通常価格
¥27,500

上記コースをご利用の方にお知らせ

当院の治療コース「セレブコース」「パール肌コース」につきましては、看護師による治療の場合、表示価格より¥5,500OFFとさせていただきます。

オプションメニュー

プラス導入(レベルの高いビタミンA導入)

セラムCA ¥1,100 しみ・しわ・たるみなどの光老化が気になる方や、お肌の色素沈着改善などに効果的です。
セラムCA
フォルテ
¥1,650
ソノDFP導入 ¥3,300 高濃度ペプチド配合のソノDFPをソノオイルトリートメント(超音波&イオン)で導入し、みずみずしい潤いとハリのあるお肌へ導きます。
トラネキサム酸導入 ¥3,300 トラネキサム酸はメラニン生成を抑制する働きがあり、しみや肝斑がある皮膚を白い肌へと導きます。角質層のバリア機能を促進させる作用もあるので、肌荒れの改善にも効果的です。
グリシルグリシン導入 ¥3,300 固く角質化した毛穴の新陳代謝を促し、お肌のキメを整えます。保湿性も高く、乾燥肌の改善にも効果的です。乾燥肌や毛穴の開きが気になる方におすすめです。
Aブーストセラム ¥2,200 しみ・そばかす・くすみを集中ケアし、メラニンの生成を抑えながら肌にうるおいを与え、透明感あふれる明るい素肌へ導くスキンケアです。

プラストリートメント

ハンドクールビタミン
トリートメント
¥1,650 美容成分(ビタミンA・C・E)を塗布し、パックをすることで手の乾燥・小じわの改善が期待できます。
ポリッシング
トリートメント
¥2,200 毛穴の汚れや老廃物を取り除き、お肌状態を整えることで、その後のトリートメント効果がアップします。
デコルテソノイオン
トリートメント
¥5,500 デコルテ部分に集中的にペプチドなどの有用成分を浸透させます。トリートメント効果により透明感とうるおいのあるお肌に仕上げます。

よくある質問

Q
しみのレーザー治療とはどのように違うのですか?
A

レーザー治療はピンポイントでしみを除去しますが、ライムライトはしみを取り除くだけでなく、肌全体を健康的に輝かせることを目的とした治療です。

Q
適応外の症状はありますか?
A

濃い色の肝斑(左右対称の地図状しみ)、あざ、深いしわやたるみなどは適応外です。
その他の適応については、医師にご相談ください。

Q
治療後、注意しなければいけないことはありますか?
A

治療直後からほぼ通常通りの生活ができます。照射直後、治療部位が少しヒリヒリしたり、赤くなることがありますが、冷やすと落ち着きます。しみを治療した場合、数日後に細かいかさぶたが出来ますが、こすらず自然に剥がれるのを待ってください。また、しみは紫外線を浴びると再発しやすくなりますので、治療期間中は、外出時や窓際にいるときには必ず日焼け止めを塗るようにしてください。

Translate »